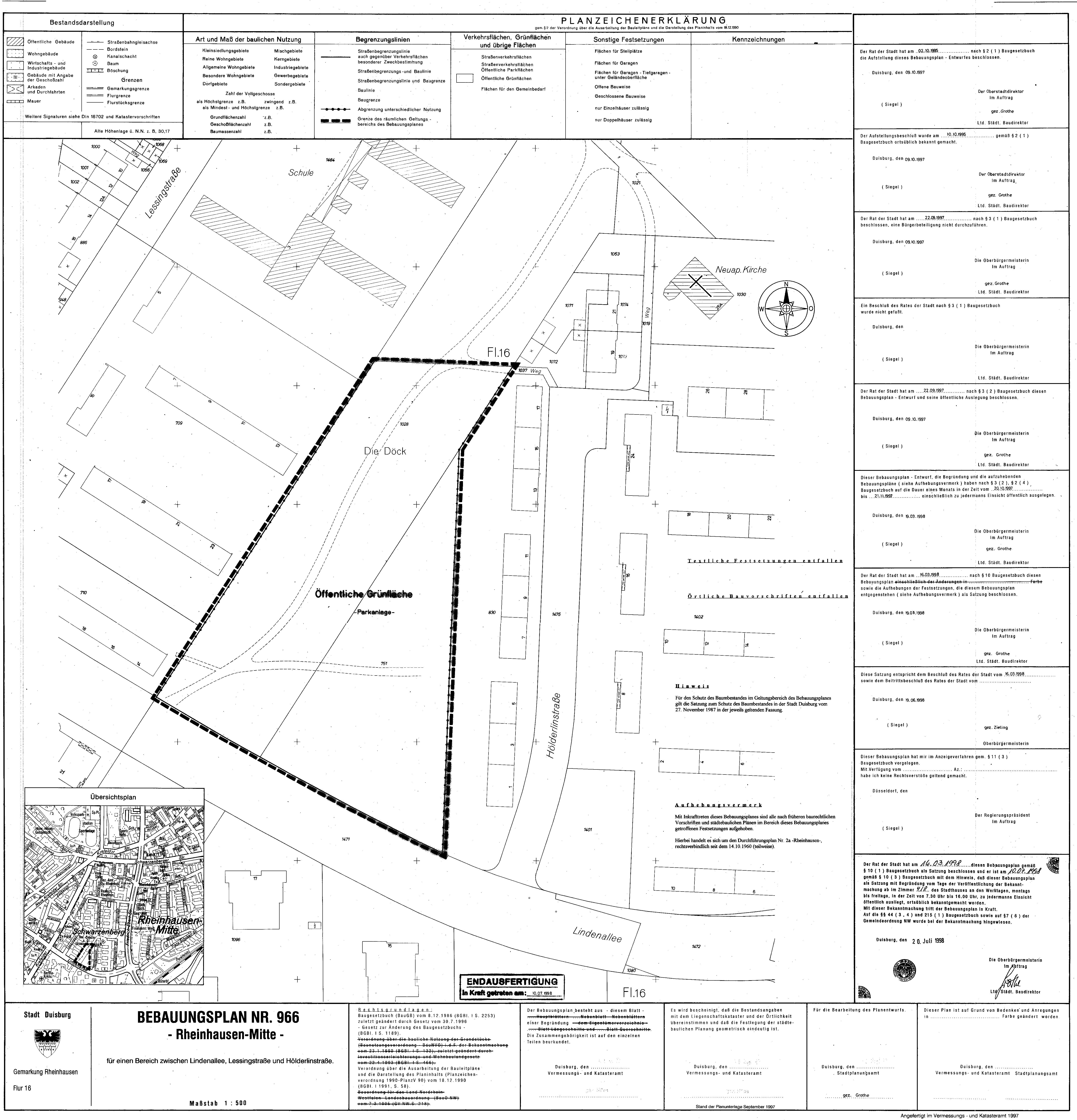
Bebauungsplan
966 - Rheinhausen-Mitte
im Stadtplan anzeigen
Plan Auskunft
Downloads
Verfahrensschritt:
rechtskräftiges Verfahren
Verfahrensübersicht:
966 - Rheinhausen - Mitte
Datum
Verfahrensschritt
02.10.1995
Aufstellungsbeschluss
20.10.1997 - 21.11.1997
öffentliche Auslegung
16.03.1998
Satzungsbeschluß
10.07.1998
Bekanntmachung im Amtsblatt gemäß
§ 10 Abs. 3 BauGB
Downloads
(
alle Dateien herunterladen
)
Bebauungsplan
2,8 MB
Begründung
90 KB