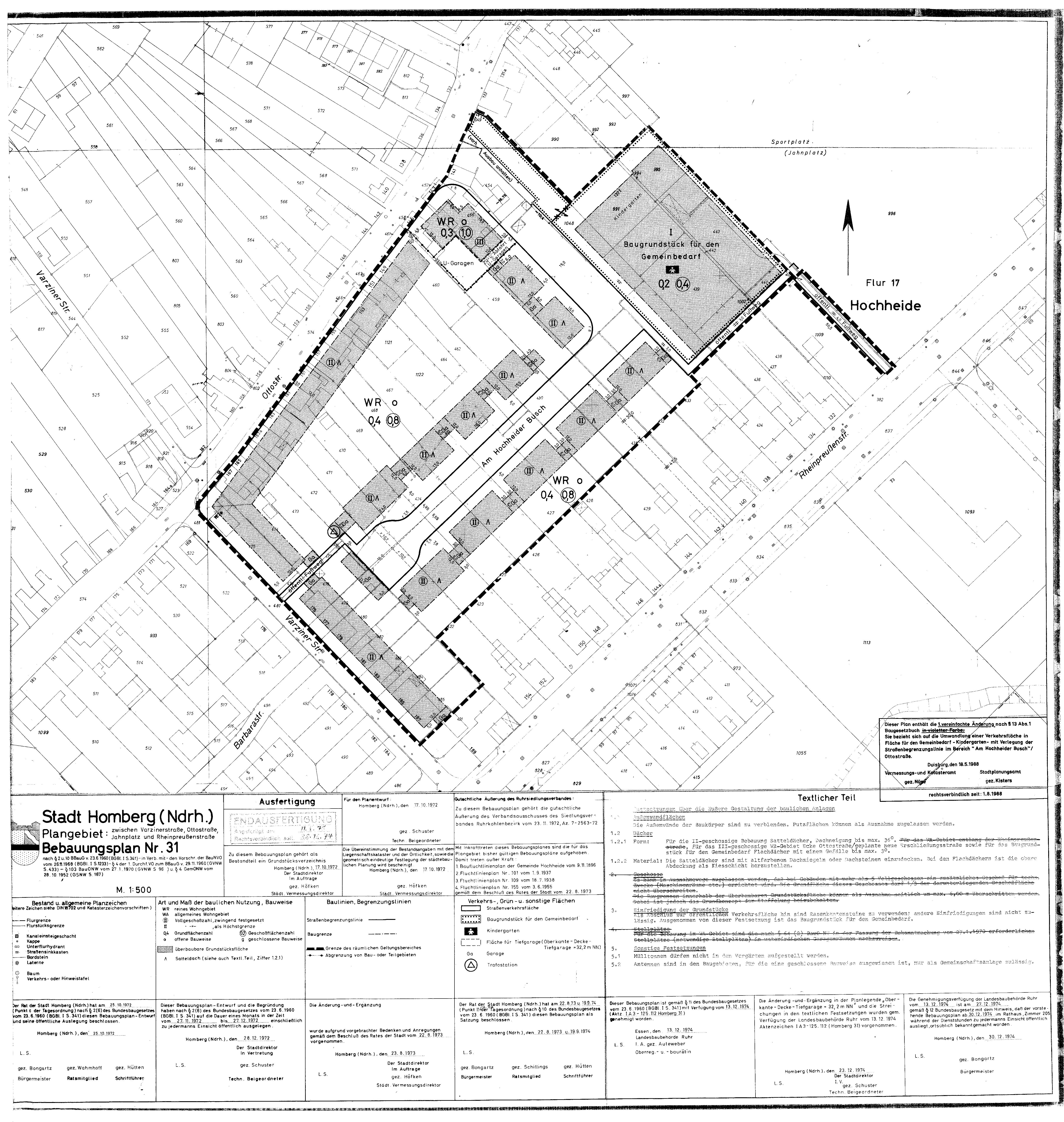
Bebauungsplan

31 - Homberg

Verfahrensschritt:

  • rechtskräftiges Verfahren

Verfahrensübersicht:

31 - 1. vereinf. Änderung

Datum Verfahrensschritt
01.08.1988 Bekanntmachung im Amtsblatt gemäß
§ 10 Abs. 3 BauGB
Bemerkung:
Verkehrfläche in Gemeinbedarf - Kindergarten -

31

Datum Verfahrensschritt
17.09.1969 Aufstellungsbeschluss
25.10.1972 Auslegungssbeschluss
27.11.1972 - 27.12.1972 öffentliche Auslegung
22.08.1973 Satzungsbeschluß
27.12.1974 Bekanntmachung im Amtsblatt gemäß
§ 10 Abs. 3 BauGB
Bemerkung:
"Gebiet zw. Varziner-, Ottostr., Jahnplatz u. Rheinpreußenstr."