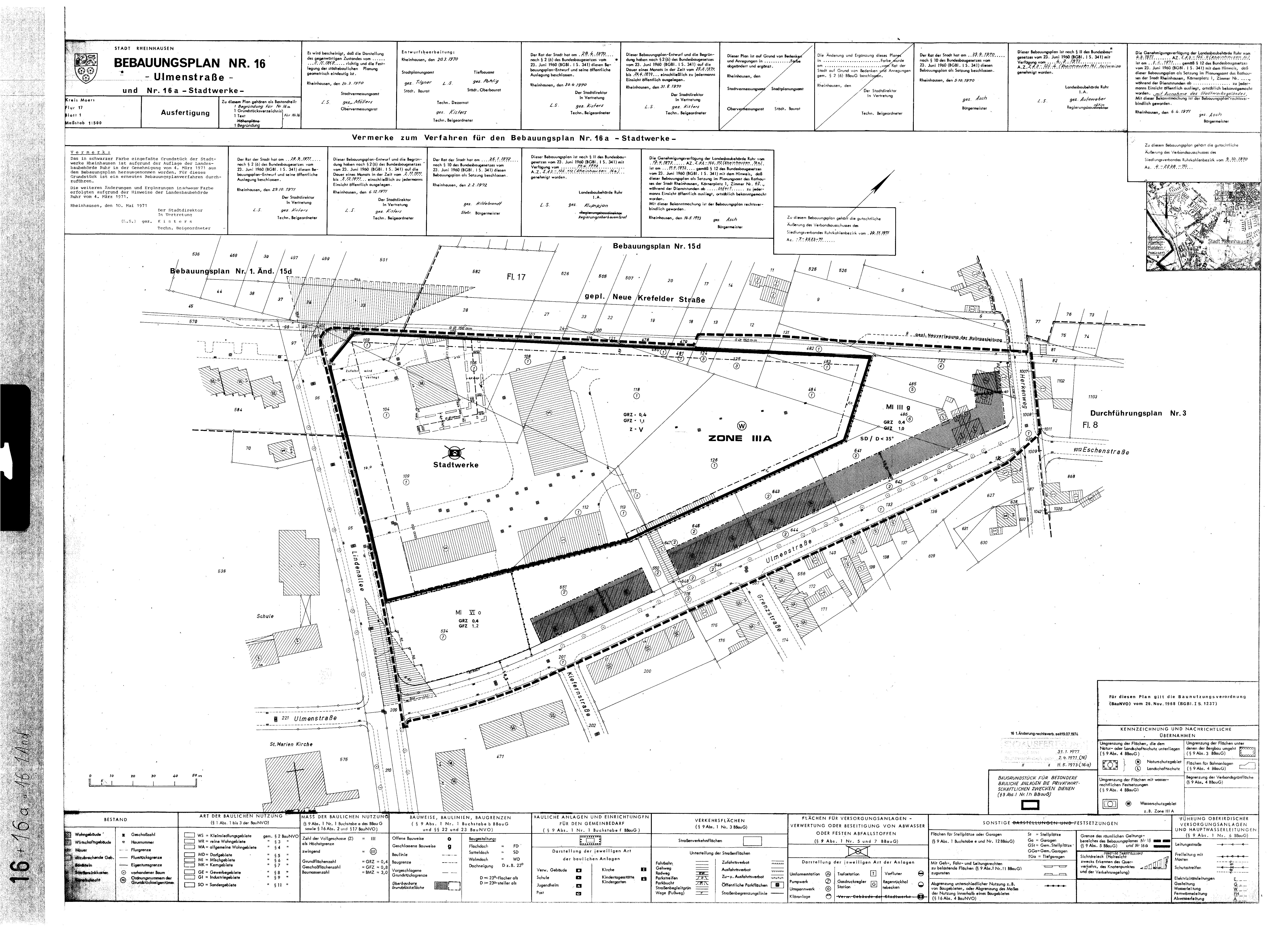
Bebauungsplan

16 - Rheinhausen

Verfahrensschritt:

  • rechtskräftiges Verfahren

Verfahrensübersicht:

BPlan 16 1. Änderung

Datum Verfahrensschritt
30.10.1973 - 30.11.1973 öffentliche Auslegung
19.07.1974 Bekanntmachung im Amtsblatt gemäß
§ 10 Abs. 3 BauGB
Bemerkung:
Ulmenstr. / Lindenallee

BPlan 16 "Ulmenstraße"

Datum Verfahrensschritt
28.04.1970 Aufstellungsbeschluss
25.05.1970 - 26.06.1970 öffentliche Auslegung
01.10.1970 Satzungsbeschluß
02.04.1971 Bekanntmachung im Amtsblatt gemäß
§ 10 Abs. 3 BauGB