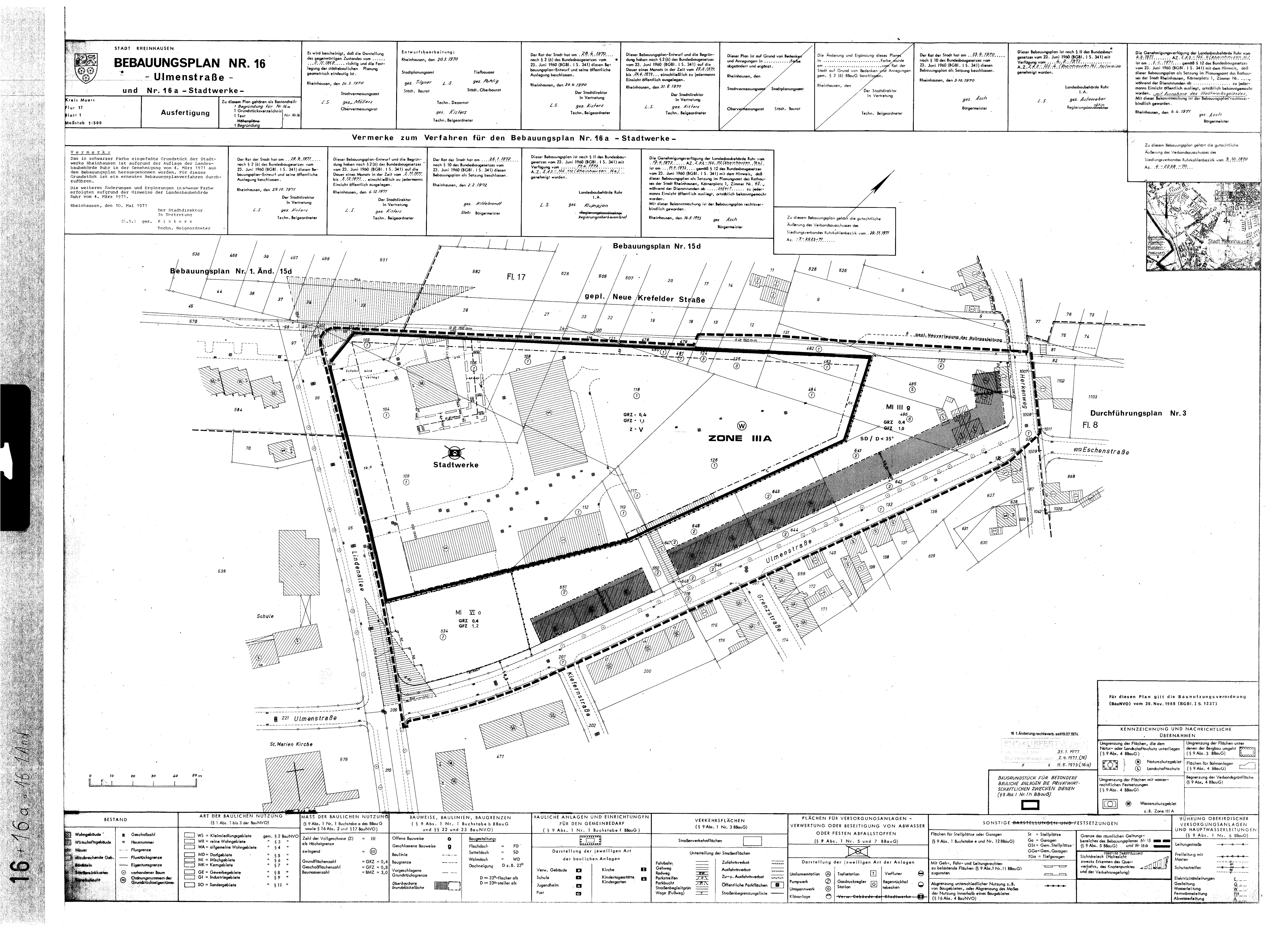
Bebauungsplan
16 A - Rheinhausen
im Stadtplan anzeigen
Plan Auskunft
Downloads
Verfahrensschritt:
rechtskräftiges Verfahren
Verfahrensübersicht:
BPlan 16 A "Stadtwerke"
Datum
Verfahrensschritt
28.09.1971
Aufstellungsbeschluss
02.11.1971 - 03.12.1971
öffentliche Auslegung
25.01.1972
Satzungsbeschluß
11.05.1973
Bekanntmachung im Amtsblatt gemäß
§ 10 Abs. 3 BauGB
Bemerkung:
Stadtwerke
Downloads
(
alle Dateien herunterladen
)
B-Plan Scan 16+16 A+16 1. Änderung
5,1 MB