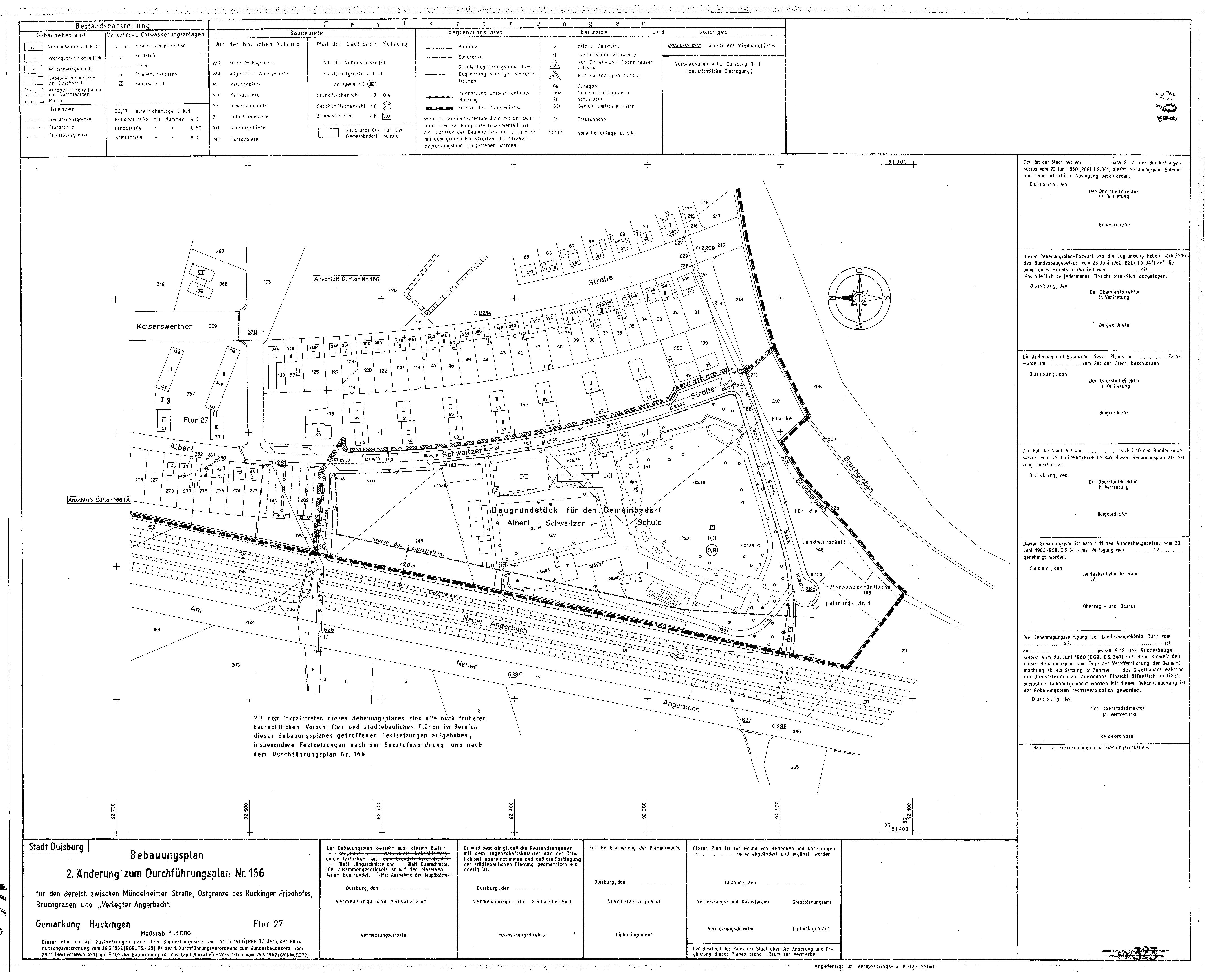
Bebauungsplan
166 /2. Änd. - Duisburg
im Stadtplan anzeigen
Plan Auskunft
Downloads
Verfahrensschritt:
rechtskräftiges Verfahren
Verfahrensübersicht:
166 - 2. Änd. - Huckingen
Datum
Verfahrensschritt
05.08.1966 - 05.09.1966
öffentliche Auslegung
25.06.1967
Bekanntmachung im Amtsblatt gemäß
§ 10 Abs. 3 BauGB
Downloads
(
alle Dateien herunterladen
)
Begründung
70 KB
B-Plan Scan
2,4 MB