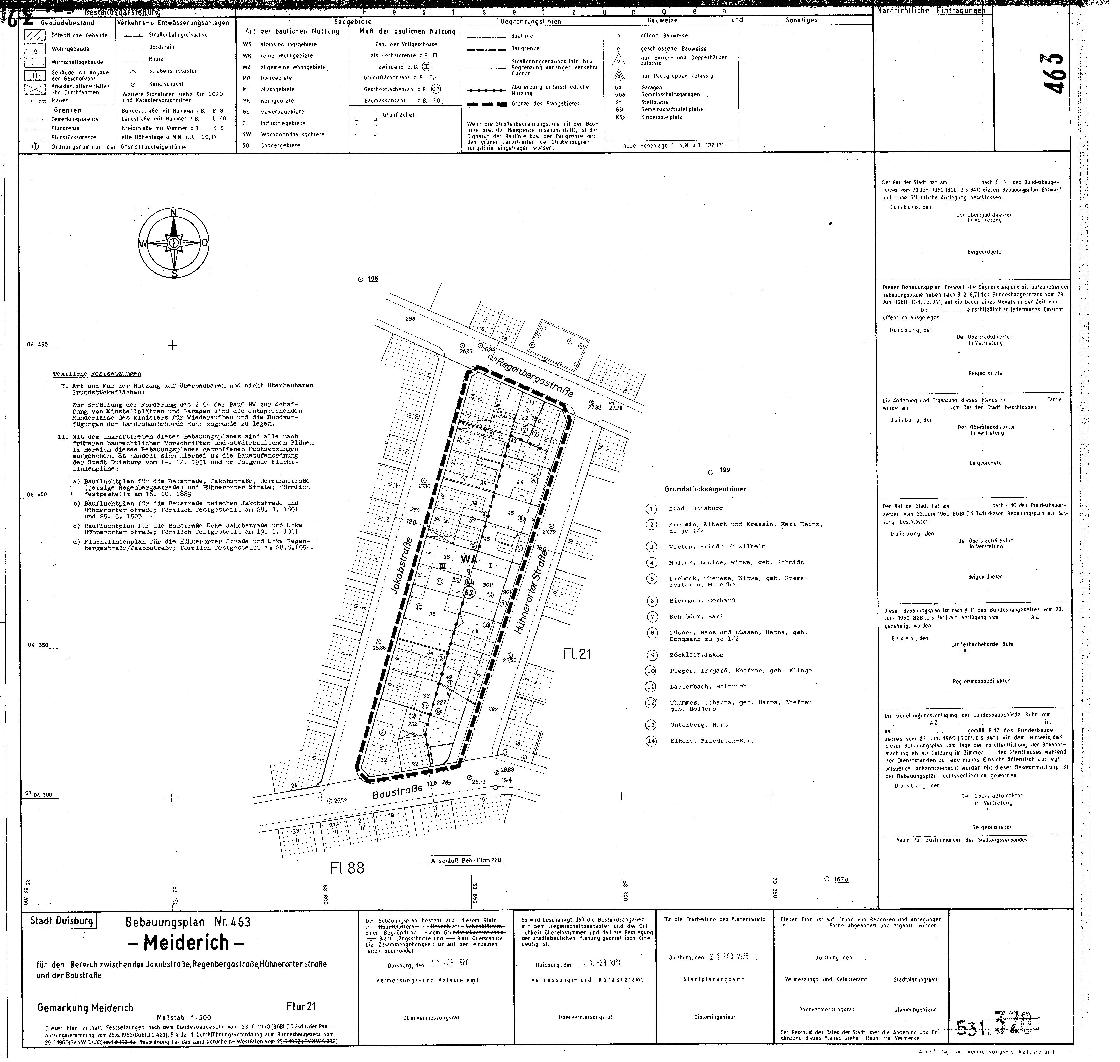
Bebauungsplan
463 - Meiderich
im Stadtplan anzeigen
Plan Auskunft
Downloads
Verfahrensschritt:
rechtskräftiges Verfahren
Verfahrensübersicht:
BPlan 463
Datum
Verfahrensschritt
20.05.1968 - 20.06.1968
öffentliche Auslegung
10.05.1969
Bekanntmachung im Amtsblatt gemäß
§ 10 Abs. 3 BauGB
Downloads
(
alle Dateien herunterladen
)
B-Plan Scan
2 MB
Begründung
20 KB