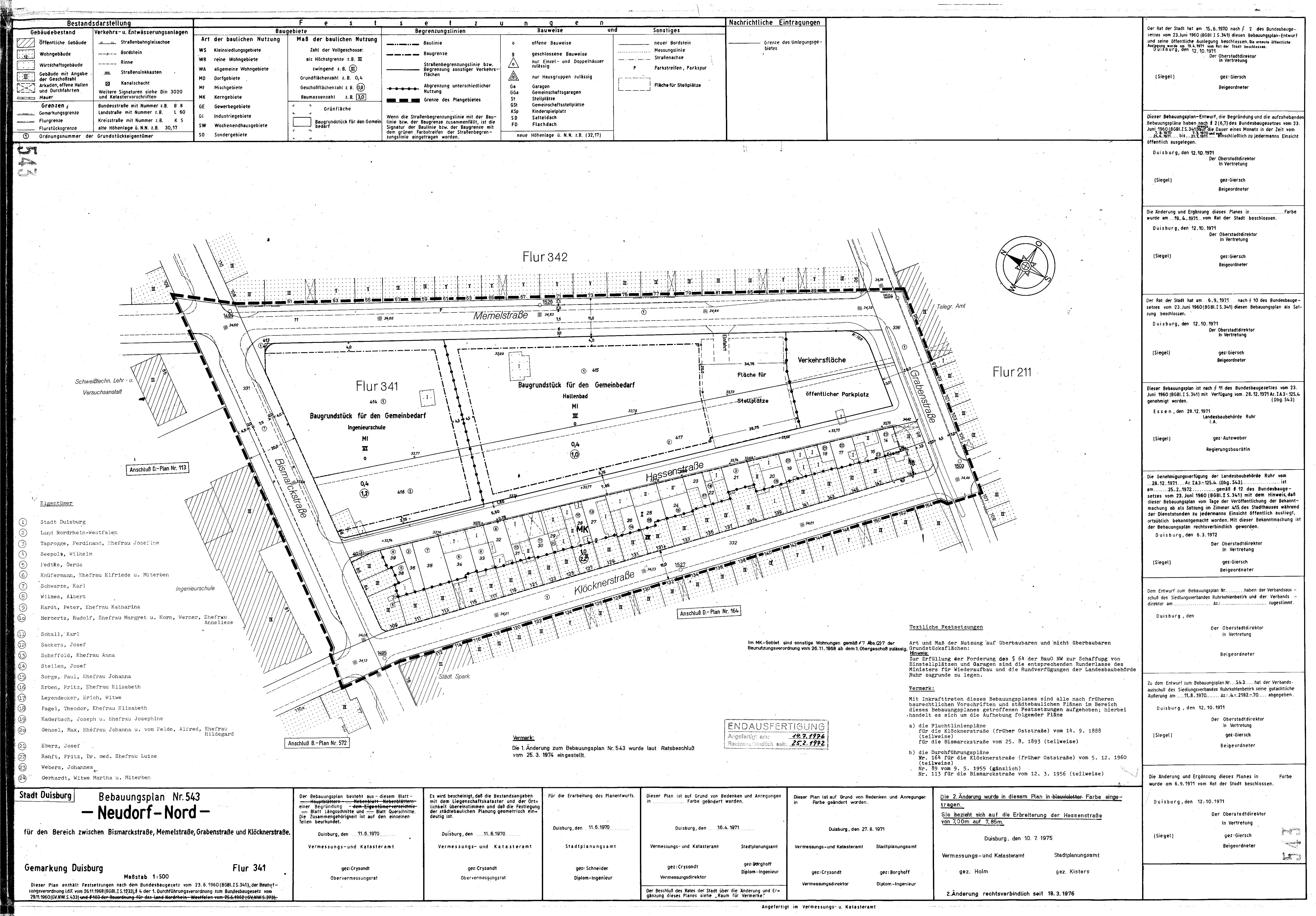
Bebauungsplan

543 - Neudorf-Nord

Verfahrensschritt:

  • rechtskräftiges Verfahren

Verfahrensübersicht:

543 - 1. Änd. - Neudorf - Nord

Datum Verfahrensschritt
Bemerkung:
laut Ratsbeschluß vom 25.3.74 eingestellt

543 - 2. Änd. - Neudorf - Nord

Datum Verfahrensschritt
20.08.1975 - 20.09.1975 öffentliche Auslegung
18.03.1976 Bekanntmachung im Amtsblatt gemäß
§ 10 Abs. 3 BauGB

543 - Neudorf - Nord

Datum Verfahrensschritt
15.06.1970 Aufstellungsbeschluss
21.06.1971 - 21.07.1971 öffentliche Auslegung
06.09.1971 Satzungsbeschluß
25.02.1972 Bekanntmachung im Amtsblatt gemäß
§ 10 Abs. 3 BauGB
Bemerkung:
1. öffentliche Auslegung vom 07.08.1970 bis 07.09.1970