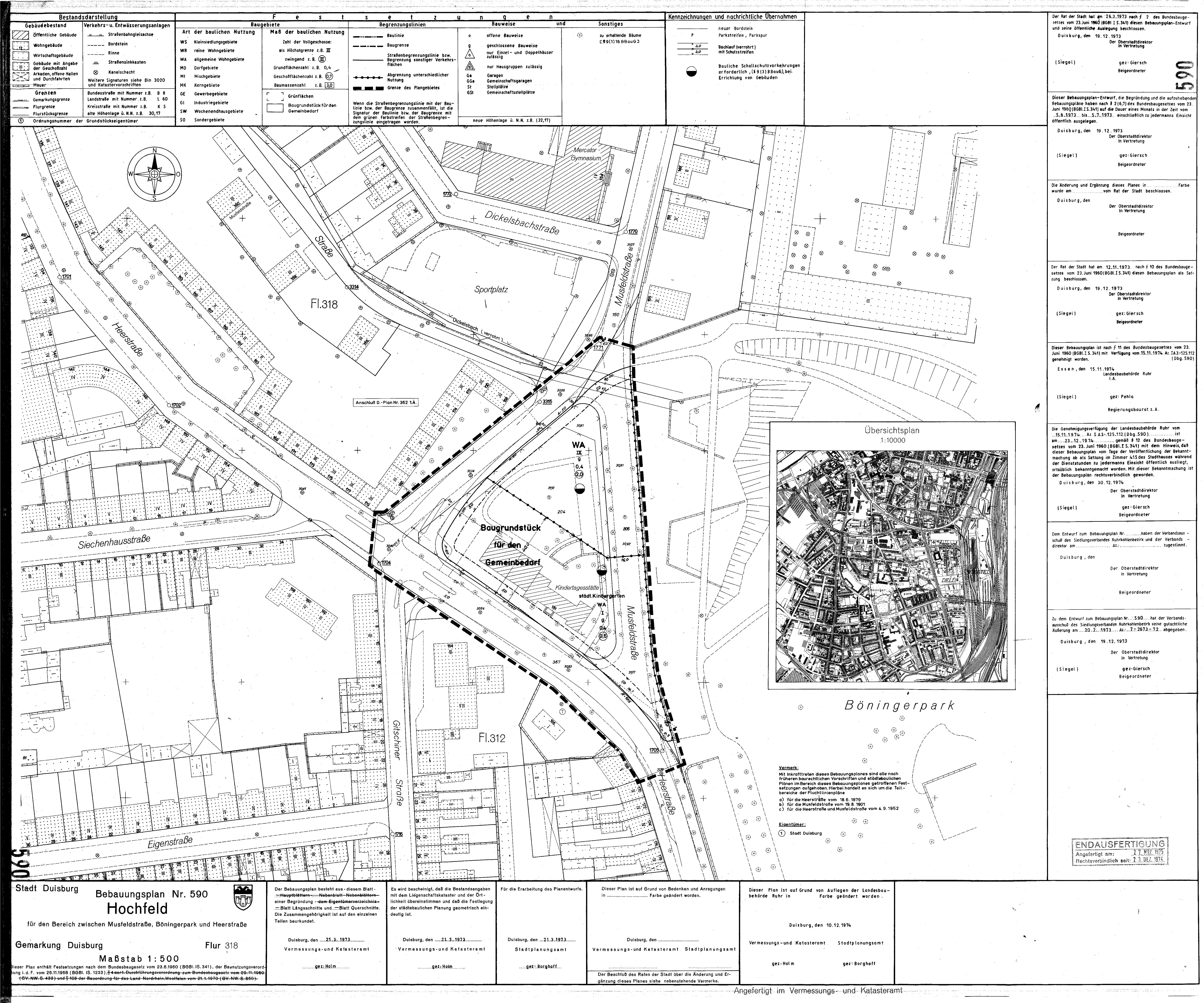
Bebauungsplan
590 - Hochfeld
im Stadtplan anzeigen
Plan Auskunft
Downloads
Verfahrensschritt:
rechtskräftiges Verfahren
Verfahrensübersicht:
590 - Hochfeld
Datum
Verfahrensschritt
26.03.1973
Aufstellungsbeschluss
05.06.1973 - 05.07.1973
öffentliche Auslegung
12.11.1973
Satzungsbeschluß
23.12.1974
Bekanntmachung im Amtsblatt gemäß
§ 10 Abs. 3 BauGB
Downloads
(
alle Dateien herunterladen
)
B-Plan Scan
4,7 MB