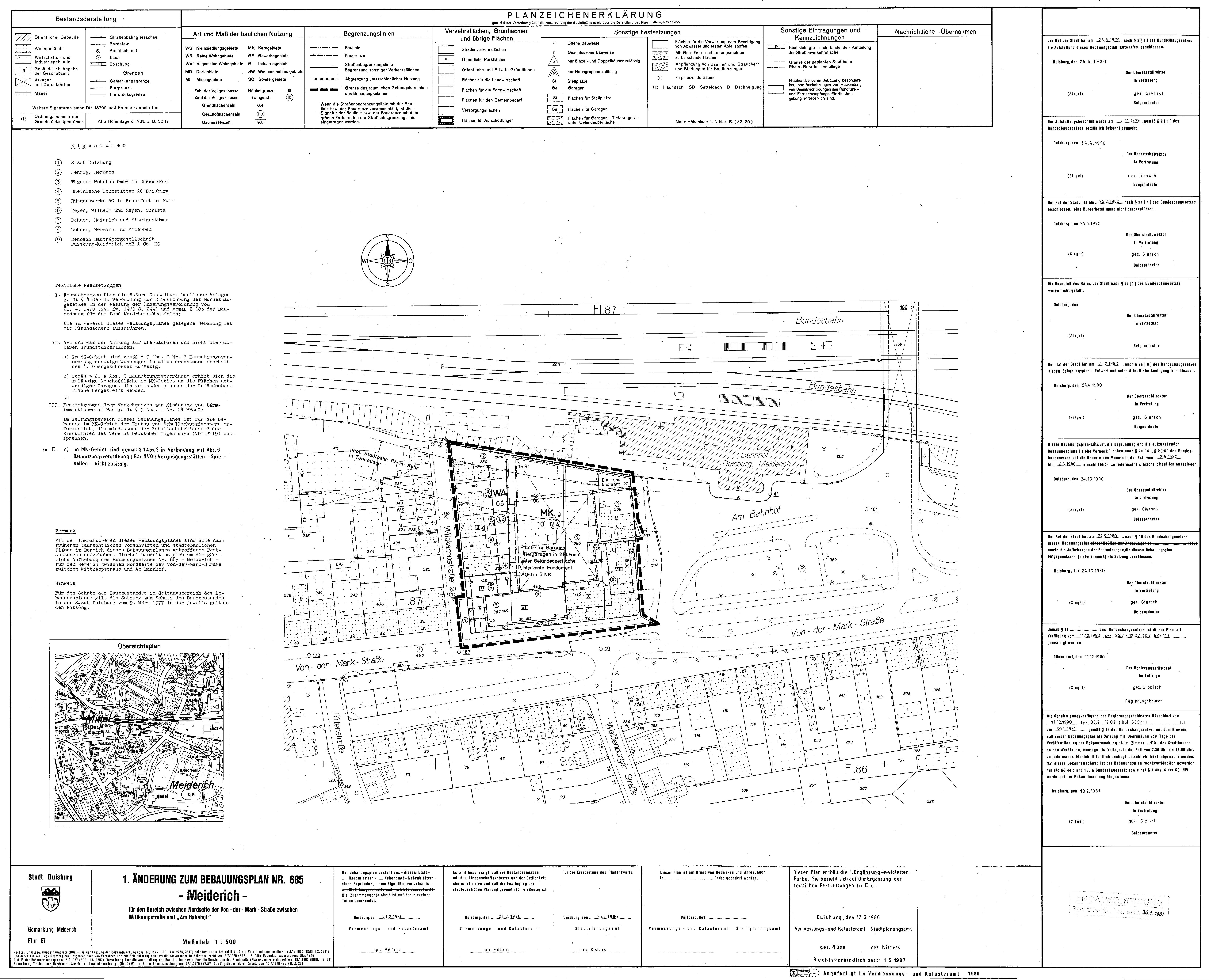
Bebauungsplan

685 - Meiderich

Verfahrensschritt:

  • rechtskräftiges Verfahren

Verfahrensübersicht:

685 - 1. Erg. zur 1. Änd. - Meiderich

Datum Verfahrensschritt
21.04.1986 - 26.05.1986 öffentliche Auslegung
01.06.1987 Bekanntmachung im Amtsblatt gemäß
§ 10 Abs. 3 BauGB

685 - 1. Änd. - Meiderich

Datum Verfahrensschritt
02.05.1980 - 06.06.1980 öffentliche Auslegung
30.01.1981 Bekanntmachung im Amtsblatt gemäß
§ 10 Abs. 3 BauGB

685 - Meiderich

Datum Verfahrensschritt
05.09.1973 - 05.10.1973 öffentliche Auslegung
10.03.1978 Bekanntmachung im Amtsblatt gemäß
§ 10 Abs. 3 BauGB
Bemerkung:
Aufhebung durch B.-Plan Nr. 685 - 1. Änd.