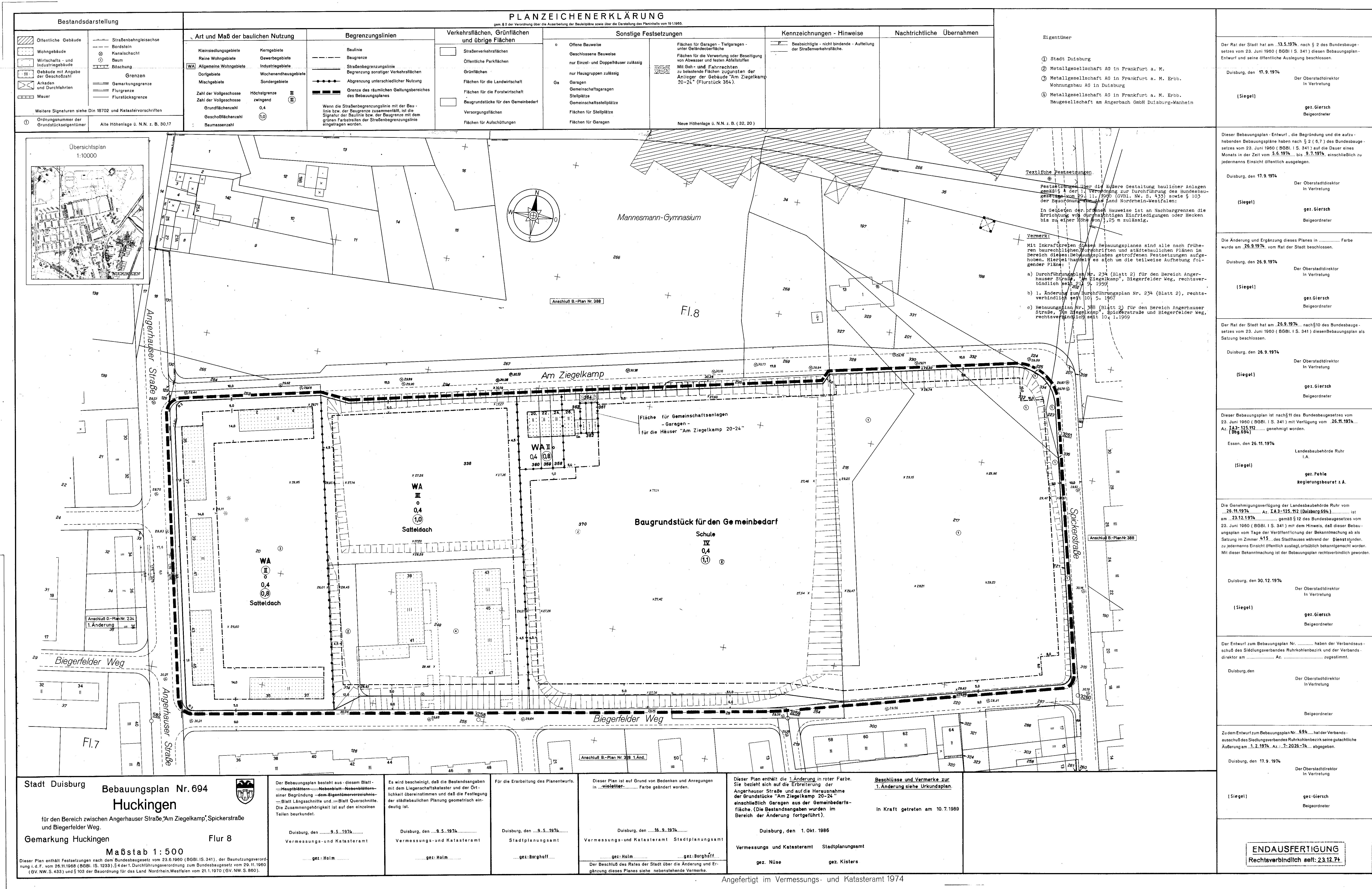
Bebauungsplan

694 - Huckingen

Verfahrensschritt:

  • rechtskräftiges Verfahren

Verfahrensübersicht:

694 - 1. Änd. - Huckingen

Datum Verfahrensschritt
12.01.1987 - 13.02.1987 öffentliche Auslegung
07.10.1989 Bekanntmachung im Amtsblatt gemäß
§ 10 Abs. 3 BauGB

694 - Huckingen

Datum Verfahrensschritt
05.06.1974 - 09.07.1974 öffentliche Auslegung
23.12.1974 Bekanntmachung im Amtsblatt gemäß
§ 10 Abs. 3 BauGB