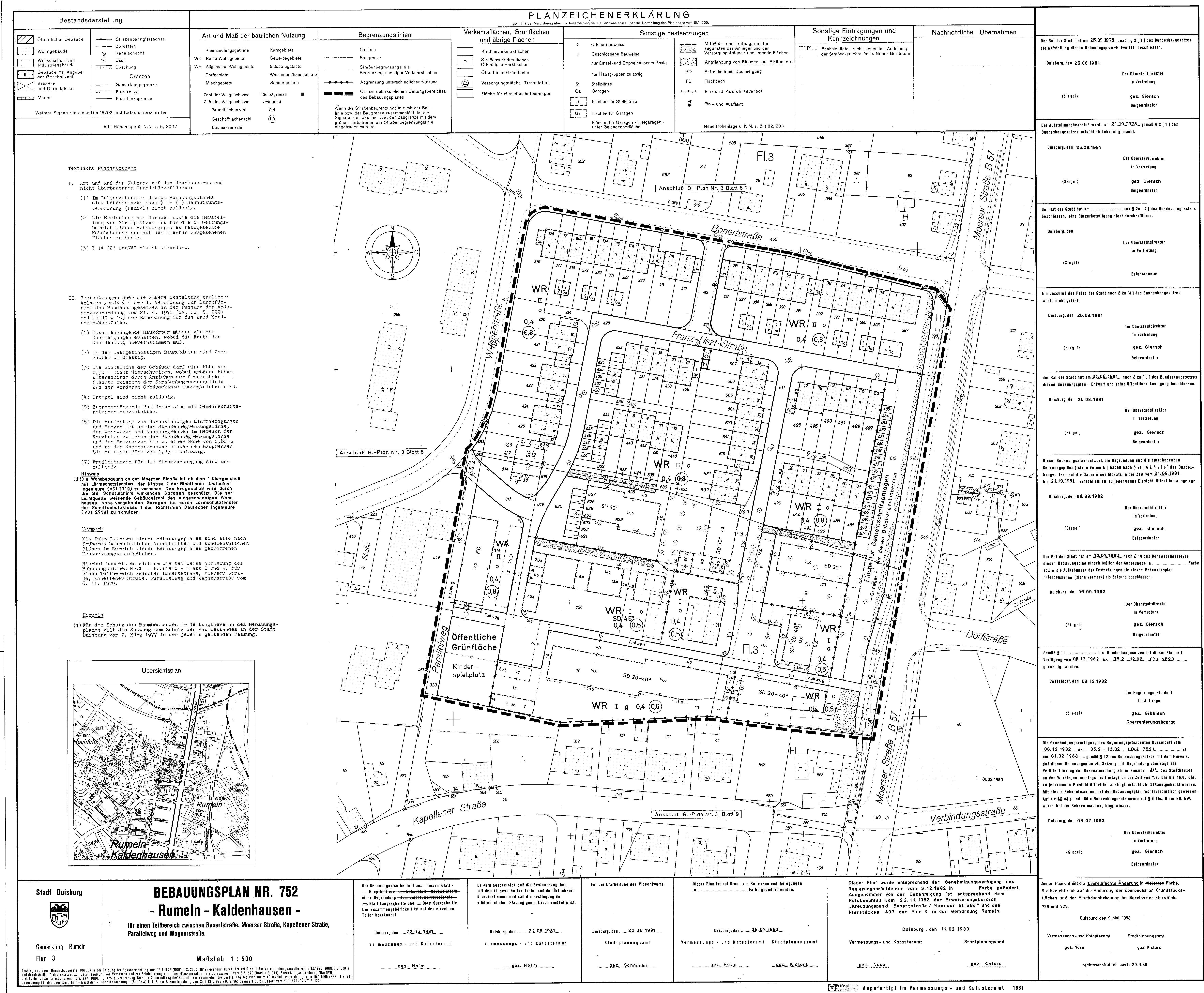
Bebauungsplan

752 - Rumeln-Kaldenhausen

für einen Bereich zwischen:

Verfahrensschritt:

  • rechtskräftiges Verfahren

Verfahrensübersicht:

752 - Rumeln-Kaldenhausen - 1. vereinfachte Änderung

Datum Verfahrensschritt
20.09.1988 Bekanntmachung im Amtsblatt gemäß
§ 10 Abs. 3 BauGB
Bemerkung:
Die 1. vereinfachte Änderung bezieht sich auf die Änderung der überbaubaren Grundstücksflächen und der Flachdachbebauung im Bereich der Flurstücke 726 und 727.

752 - Rumeln-Kaldenhausen -

Datum Verfahrensschritt
25.09.1978 Aufstellungsbeschluss
21.09.1981 - 21.10.1981 öffentliche Auslegung
12.07.1982 Satzungsbeschluß
01.02.1983 Bekanntmachung im Amtsblatt gemäß
§ 10 Abs. 3 BauGB