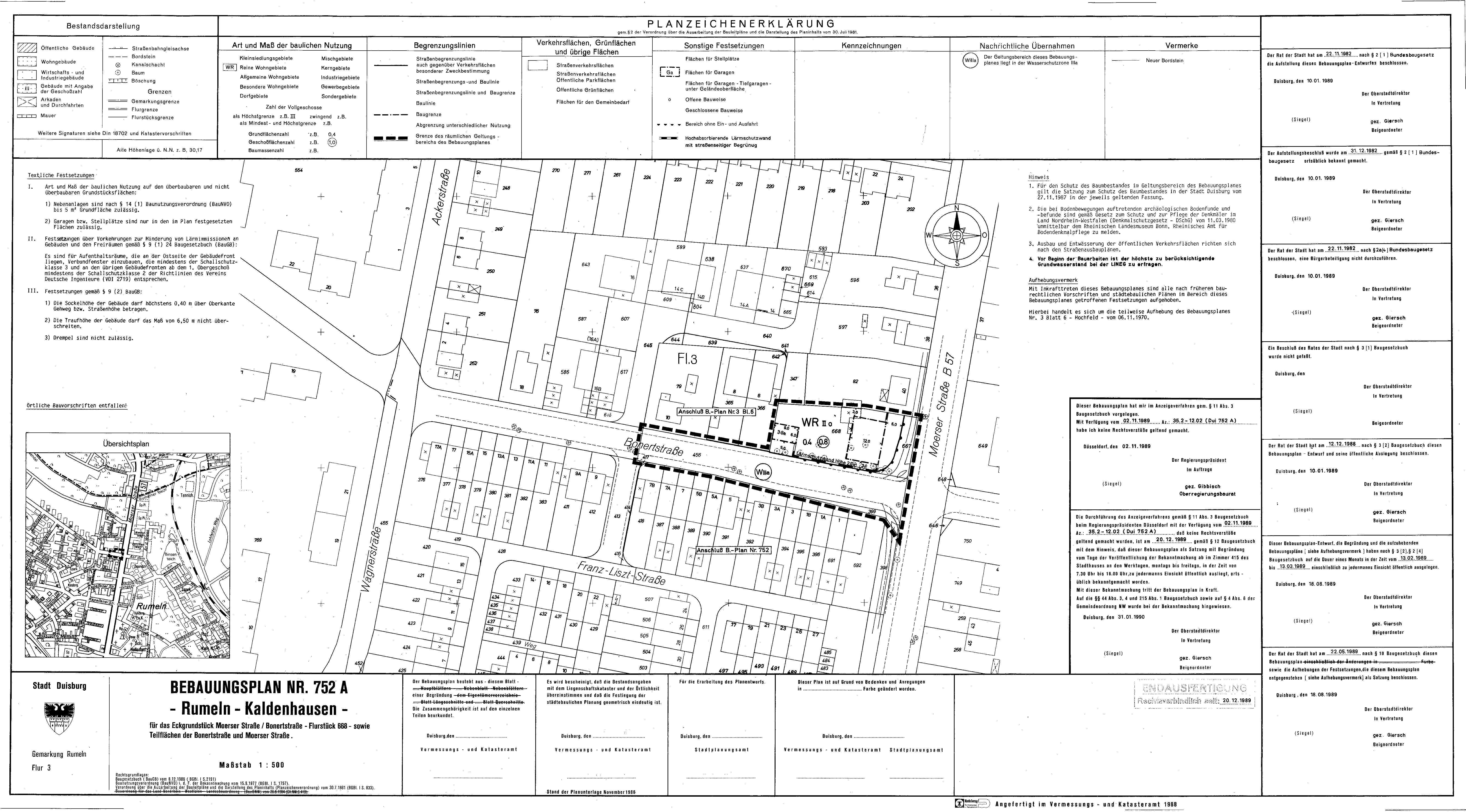
Bebauungsplan
752 A - Rumeln-Kaldenhausen
im Stadtplan anzeigen
Plan Auskunft
Downloads
für:
das Eckgrundstück Moerser Straße/Bonertstraße Flurstück 668,
sowie Teilflächen der Bonertstraße und Moerser Straße
Verfahrensschritt:
rechtskräftiges Verfahren
Verfahrensübersicht:
752 A - Rumeln-Kaldenhausen -
Datum
Verfahrensschritt
22.11.1982
Aufstellungsbeschluss
13.02.1989 - 13.03.1989
öffentliche Auslegung
22.05.1989
Satzungsbeschluß
20.12.1989
Bekanntmachung im Amtsblatt gemäß
§ 10 Abs. 3 BauGB
Downloads
(
alle Dateien herunterladen
)
B-Plan Scan
2,7 MB