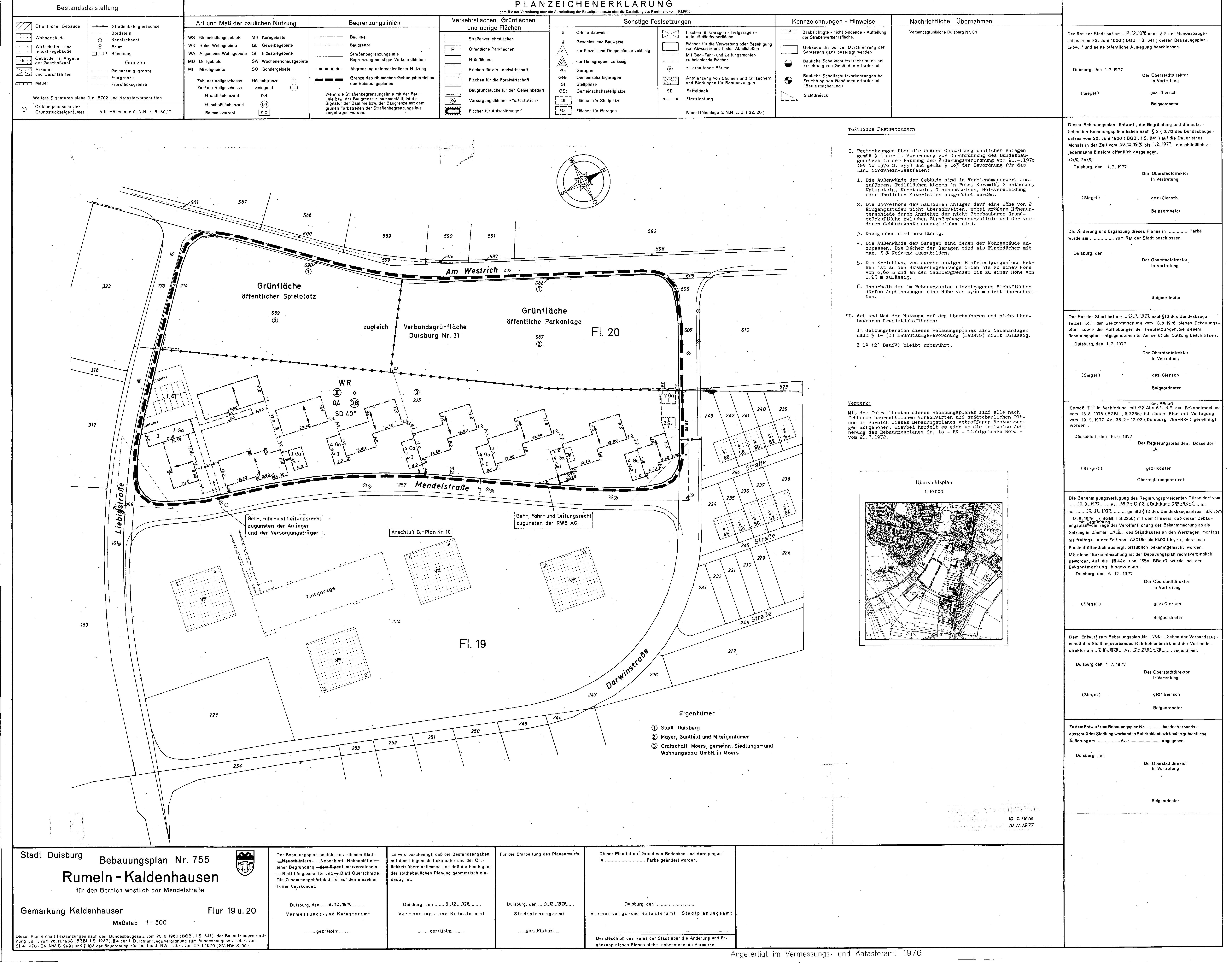
Bebauungsplan
755 - Rumeln-Kaldenhausen
im Stadtplan anzeigen
Plan Auskunft
Downloads
Verfahrensschritt:
rechtskräftiges Verfahren
Verfahrensübersicht:
755 - Rumeln - Kaldenhausen
Datum
Verfahrensschritt
13.12.1976
Aufstellungsbeschluss
30.12.1976 - 01.02.1977
öffentliche Auslegung
23.07.1977
Satzungsbeschluß
10.11.1977
Bekanntmachung im Amtsblatt gemäß
§ 10 Abs. 3 BauGB
Downloads
(
alle Dateien herunterladen
)
Bebauungsplan
3,1 MB
Begründung
60 KB