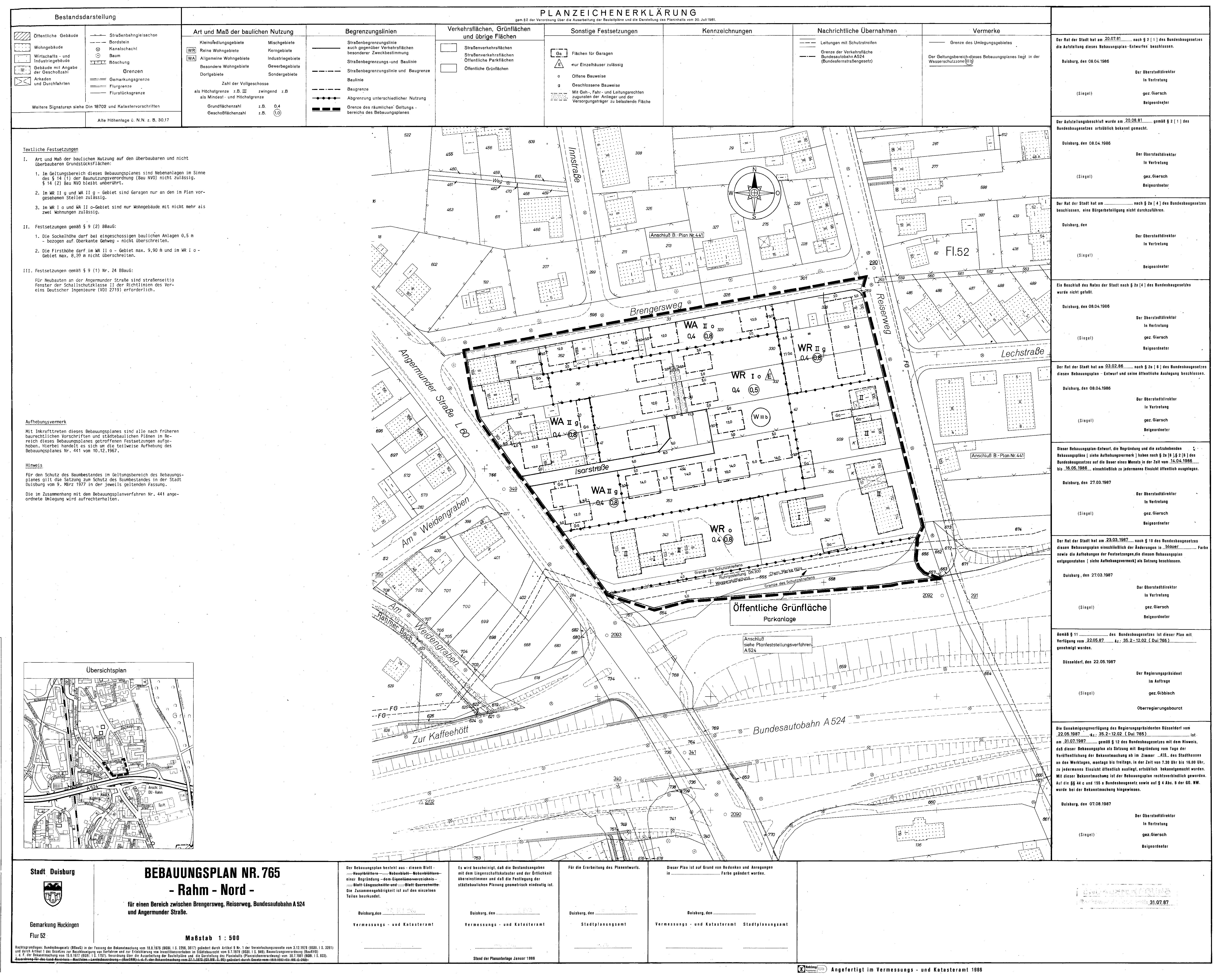
Bebauungsplan
765 - Rahm
im Stadtplan anzeigen
Plan Auskunft
Downloads
Verfahrensschritt:
rechtskräftiges Verfahren
Verfahrensübersicht:
765 - Rahm - Nord
Datum
Verfahrensschritt
20.07.1981
Aufstellungsbeschluss
14.04.1986 - 16.05.1986
öffentliche Auslegung
23.03.1987
Satzungsbeschluß
31.07.1987
Bekanntmachung im Amtsblatt gemäß
§ 10 Abs. 3 BauGB
Bemerkung:
1. öffentliche Auslegung vom 23.03.-25.04.1984
Downloads
(
alle Dateien herunterladen
)
B-Plan Scan
3,8 MB
Begründung
0,5 MB