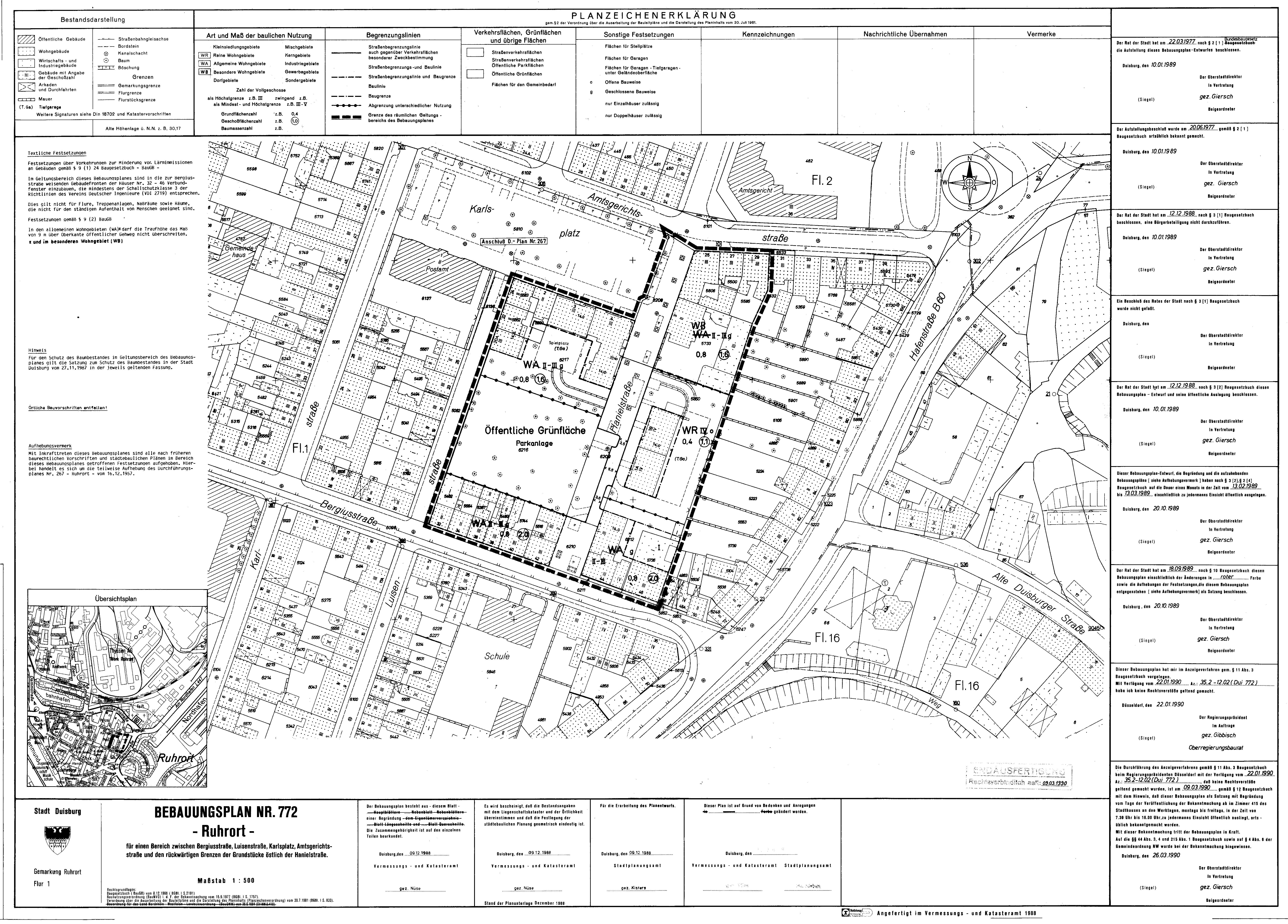
Bebauungsplan
772 - Ruhrort
im Stadtplan anzeigen
Plan Auskunft
Downloads
Verfahrensschritt:
rechtskräftiges Verfahren
Verfahrensübersicht:
772 - Ruhrort
Datum
Verfahrensschritt
22.03.1977
Aufstellungsbeschluss
13.02.1989 - 13.03.1989
öffentliche Auslegung
18.09.1989
Satzungsbeschluß
09.03.1990
Bekanntmachung im Amtsblatt gemäß
§ 10 Abs. 3 BauGB
Downloads
(
alle Dateien herunterladen
)
B-Plan Scan
4,5 MB