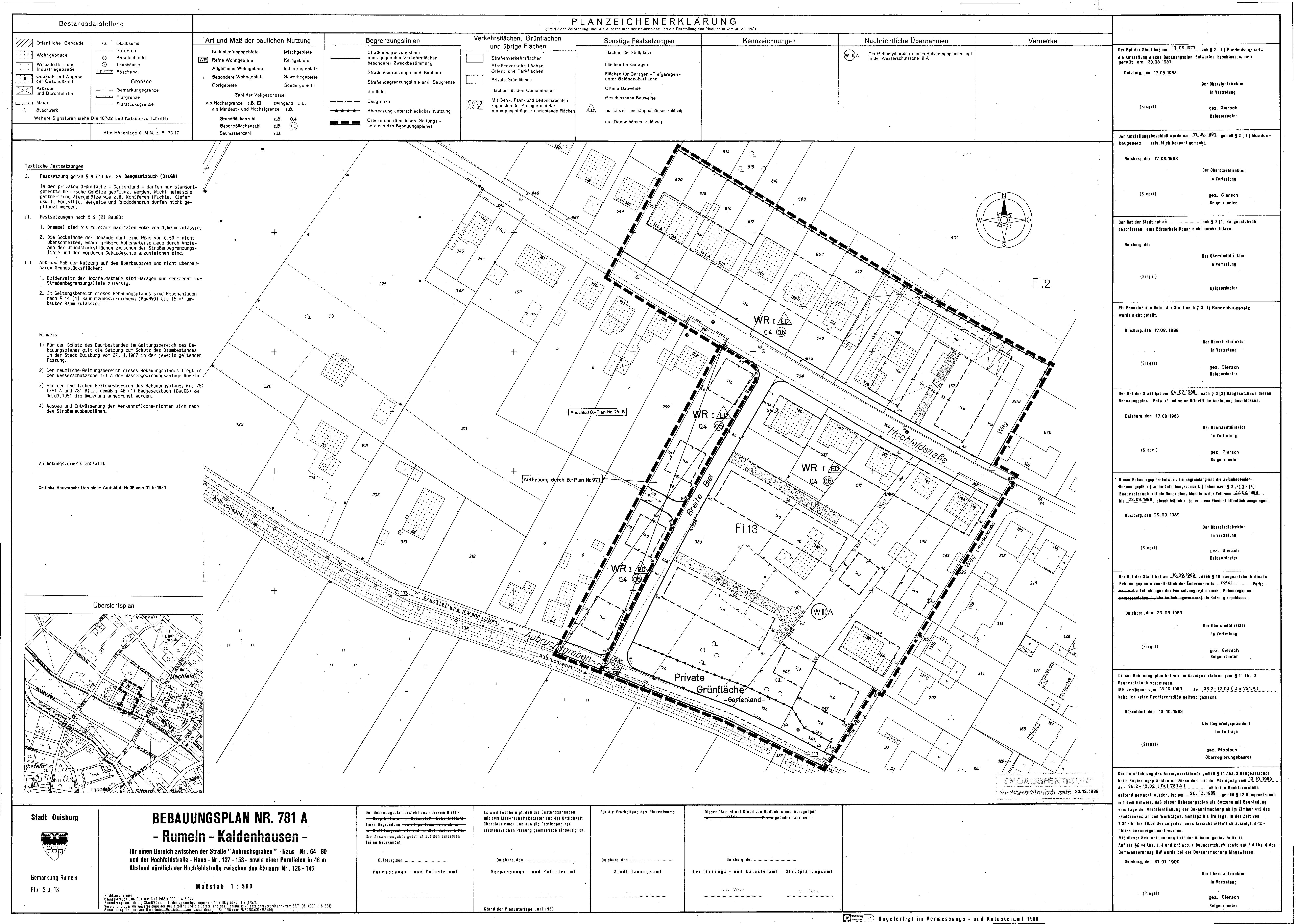
Bebauungsplan
781 A - Rumeln-Kaldenhausen
im Stadtplan anzeigen
Plan Auskunft
Downloads
für einen Bereich zwischen:
der Straße "Aubruchsgraben" Haus Nr. 64-80 und
der Hochfeldstraße Haus Nr. 137-153 sowie
einer Parallelen in 48m Abstand
nördlich der Hochfeldstraße zwischen den Häusern Nr. 126-146
Verfahrensschritt:
rechtskräftiges Verfahren
Verfahrensübersicht:
781 A - Rumeln - Kaldenhausen
Datum
Verfahrensschritt
30.03.1981
Aufstellungsbeschluss
22.08.1988 - 23.09.1988
öffentliche Auslegung
18.09.1989
Satzungsbeschluß
20.12.1989
Bekanntmachung im Amtsblatt gemäß
§ 10 Abs. 3 BauGB
Bemerkung:
tlw. B.-Plan Nr.971
Downloads
(
alle Dateien herunterladen
)
B-Plan Scan
3,4 MB