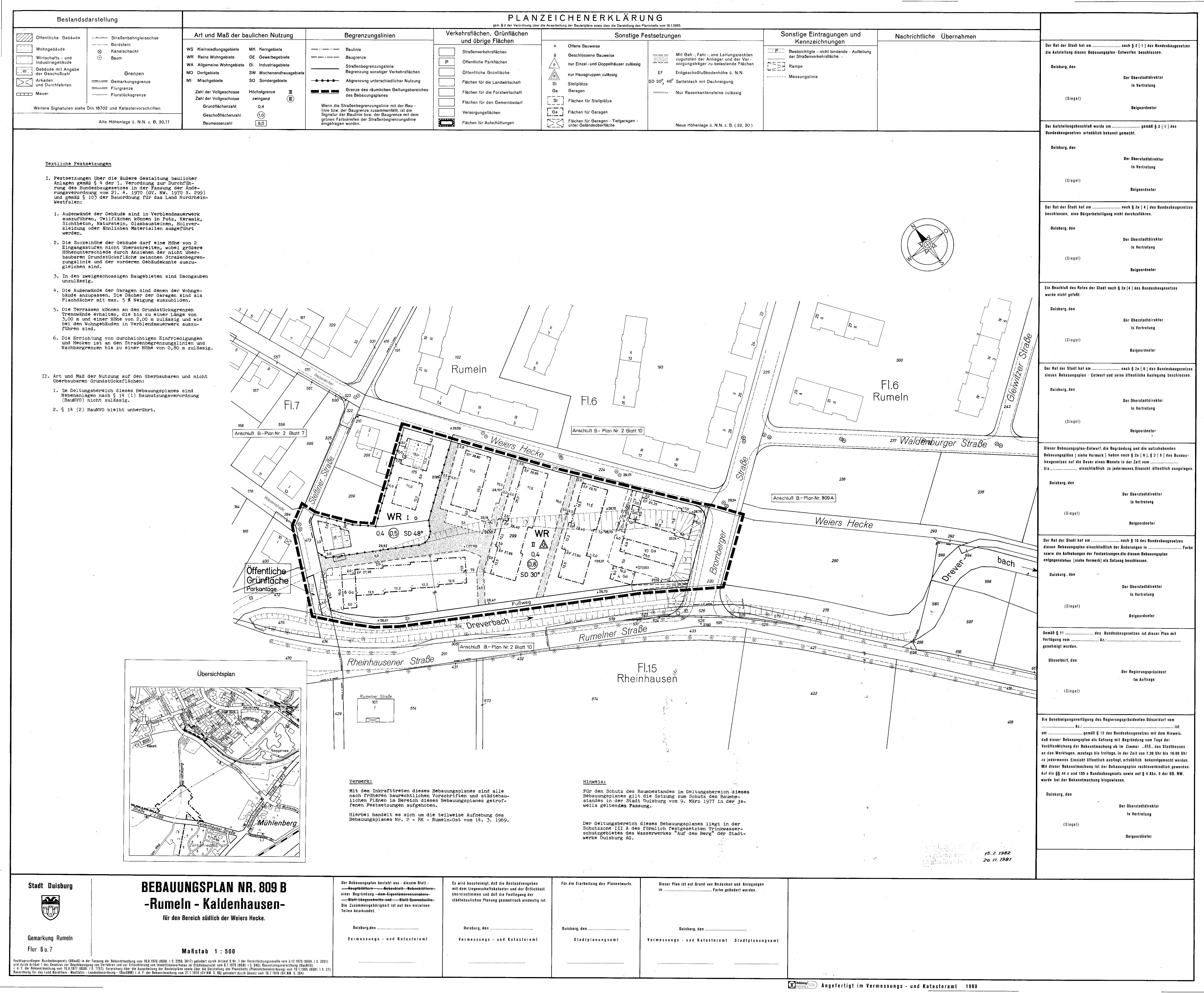
Bebauungsplan
809 B - Rumeln-Kaldenhausen
im Stadtplan anzeigen
Plan Auskunft
Downloads
Für den Bereich:
südlich der Weiers Hecke
Verfahrensschritt:
rechtskräftiges Verfahren
Verfahrensübersicht:
809 B - Rumeln - Kaldenhausen
Datum
Verfahrensschritt
12.01.1981 - 12.02.1981
öffentliche Auslegung
20.11.1981
Bekanntmachung im Amtsblatt gemäß
§ 10 Abs. 3 BauGB
Downloads
(
alle Dateien herunterladen
)
B-Plan Scan
3,2 MB