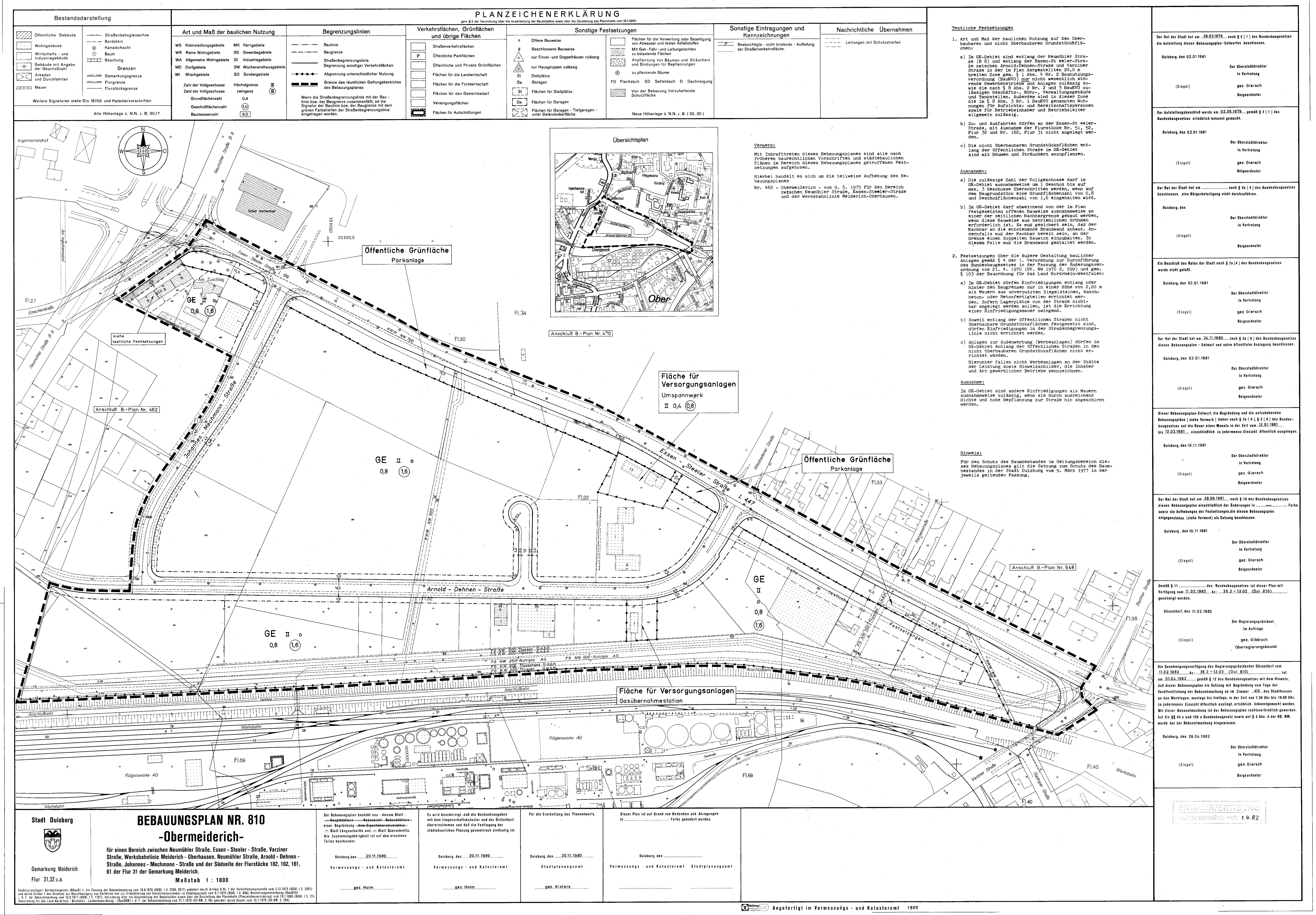
Bebauungsplan
810 - Obermeiderich
im Stadtplan anzeigen
Plan Auskunft
Downloads
Verfahrensschritt:
rechtskräftiges Verfahren
Verfahrensübersicht:
810 - Obermeiderich
Datum
Verfahrensschritt
26.03.1979
Aufstellungsbeschluss
24.11.1980
Auslegungssbeschluss
12.01.1981 - 12.02.1981
öffentliche Auslegung
28.09.1981
Satzungsbeschluß
01.04.1982
Bekanntmachung im Amtsblatt gemäß
§ 10 Abs. 3 BauGB
Downloads
(
alle Dateien herunterladen
)
Bebauungsplan
5,1 MB
Begründung
0,6 MB