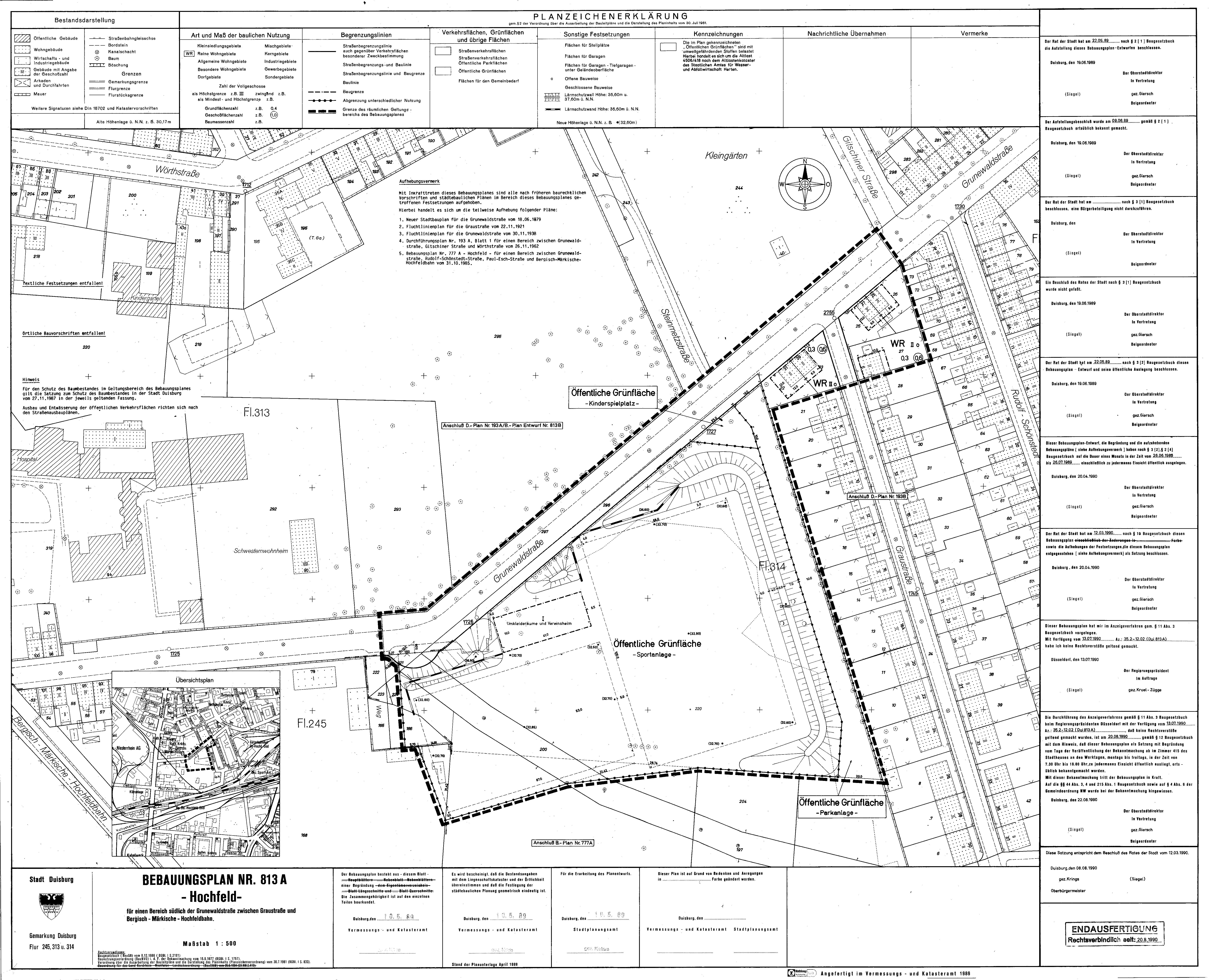
Bebauungsplan
813 A - Hochfeld
im Stadtplan anzeigen
Plan Auskunft
Downloads
Verfahrensschritt:
rechtskräftiges Verfahren
Verfahrensübersicht:
Bpl 813 A - Hochfeld
Datum
Verfahrensschritt
22.05.1989
Aufstellungsbeschluss
26.06.1989 - 26.07.1989
öffentliche Auslegung
12.03.1990
Satzungsbeschluß
20.08.1990
Bekanntmachung im Amtsblatt gemäß
§ 10 Abs. 3 BauGB
Downloads
(
alle Dateien herunterladen
)
Bebauungsplan
4,2 MB
Begründung
0,5 MB