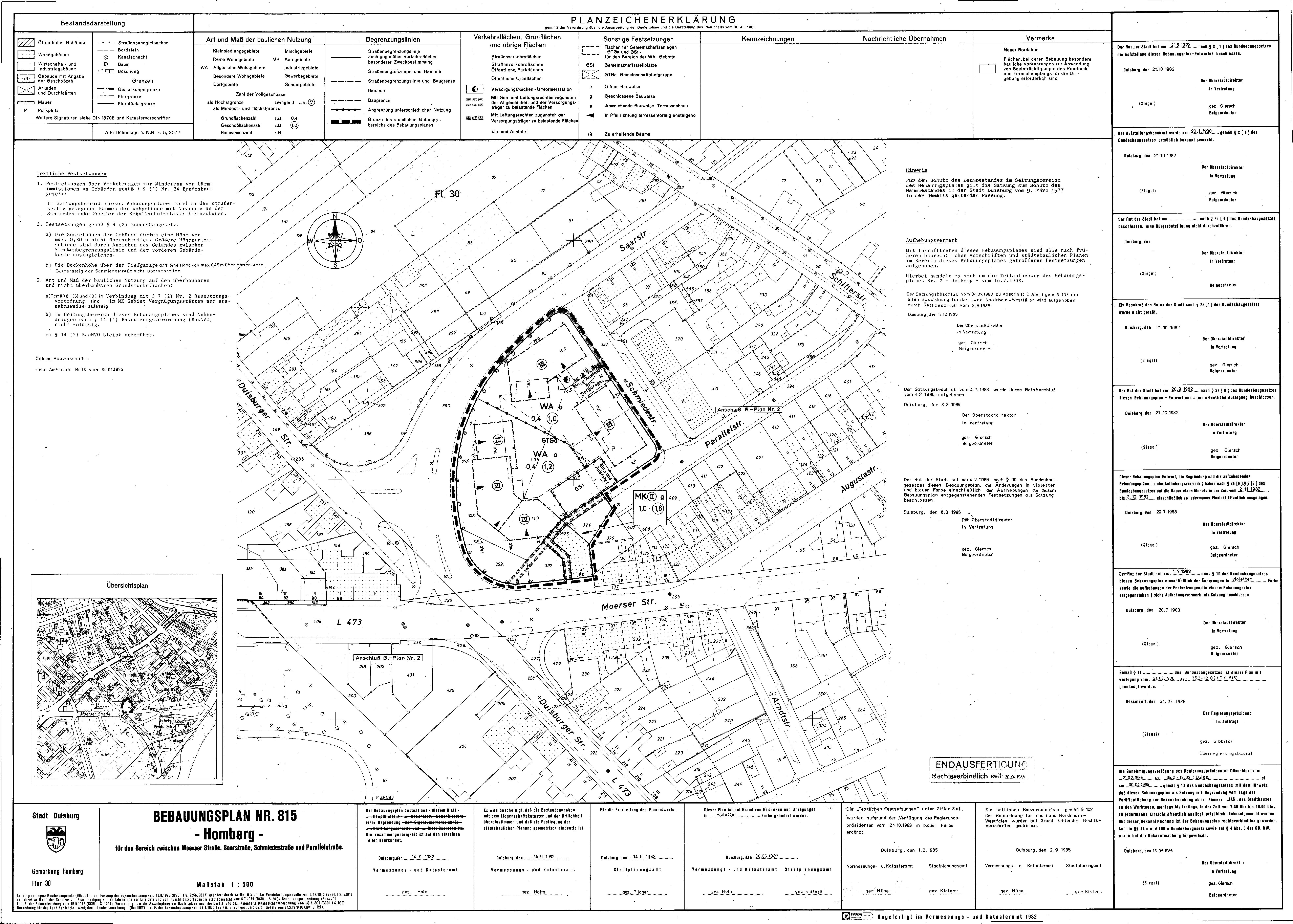
Bebauungsplan
815 - Homberg
im Stadtplan anzeigen
Plan Auskunft
Downloads
Verfahrensschritt:
rechtskräftiges Verfahren
Verfahrensübersicht:
815 - Homberg
Datum
Verfahrensschritt
02.11.1982 - 03.12.1982
öffentliche Auslegung
30.04.1986
Bekanntmachung im Amtsblatt gemäß
§ 10 Abs. 3 BauGB
Bemerkung:
Örtl. Bauvorschriften siehe Amtsblatt Nr. 13 vom 30.04.1986
Downloads
(
alle Dateien herunterladen
)
Bebauungsplan
3,8 MB
Begründung
0,6 MB