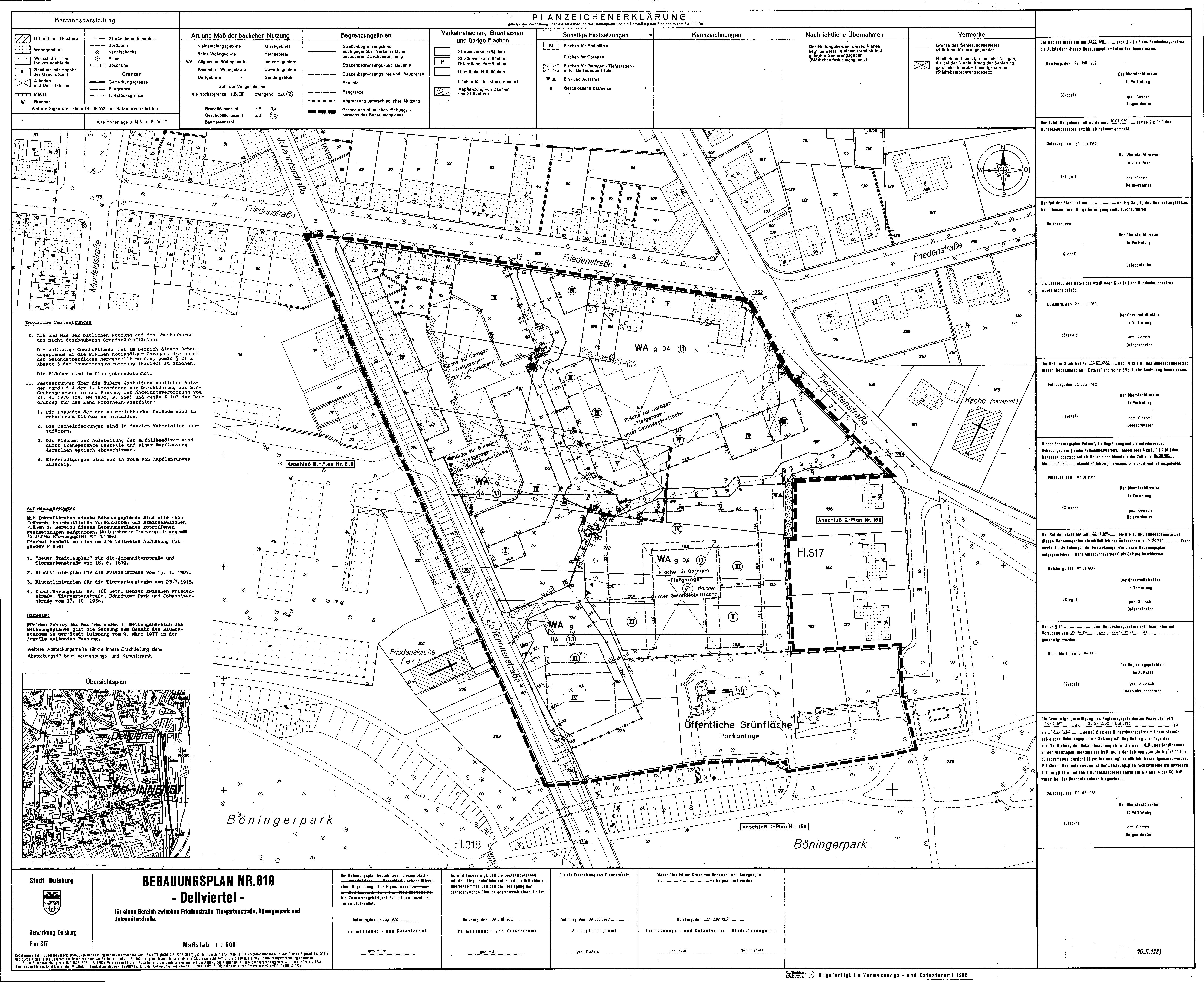
Bebauungsplan
819 - Dellviertel
im Stadtplan anzeigen
Plan Auskunft
Downloads
Verfahrensschritt:
rechtskräftiges Verfahren
Verfahrensübersicht:
819 - Dellviertel
Datum
Verfahrensschritt
18.06.1979
Aufstellungsbeschluss
15.09.1982 - 15.10.1982
öffentliche Auslegung
22.11.1982
Satzungsbeschluß
10.05.1983
Bekanntmachung im Amtsblatt gemäß
§ 10 Abs. 3 BauGB
Downloads
(
alle Dateien herunterladen
)
B-Plan Scan
4,7 MB