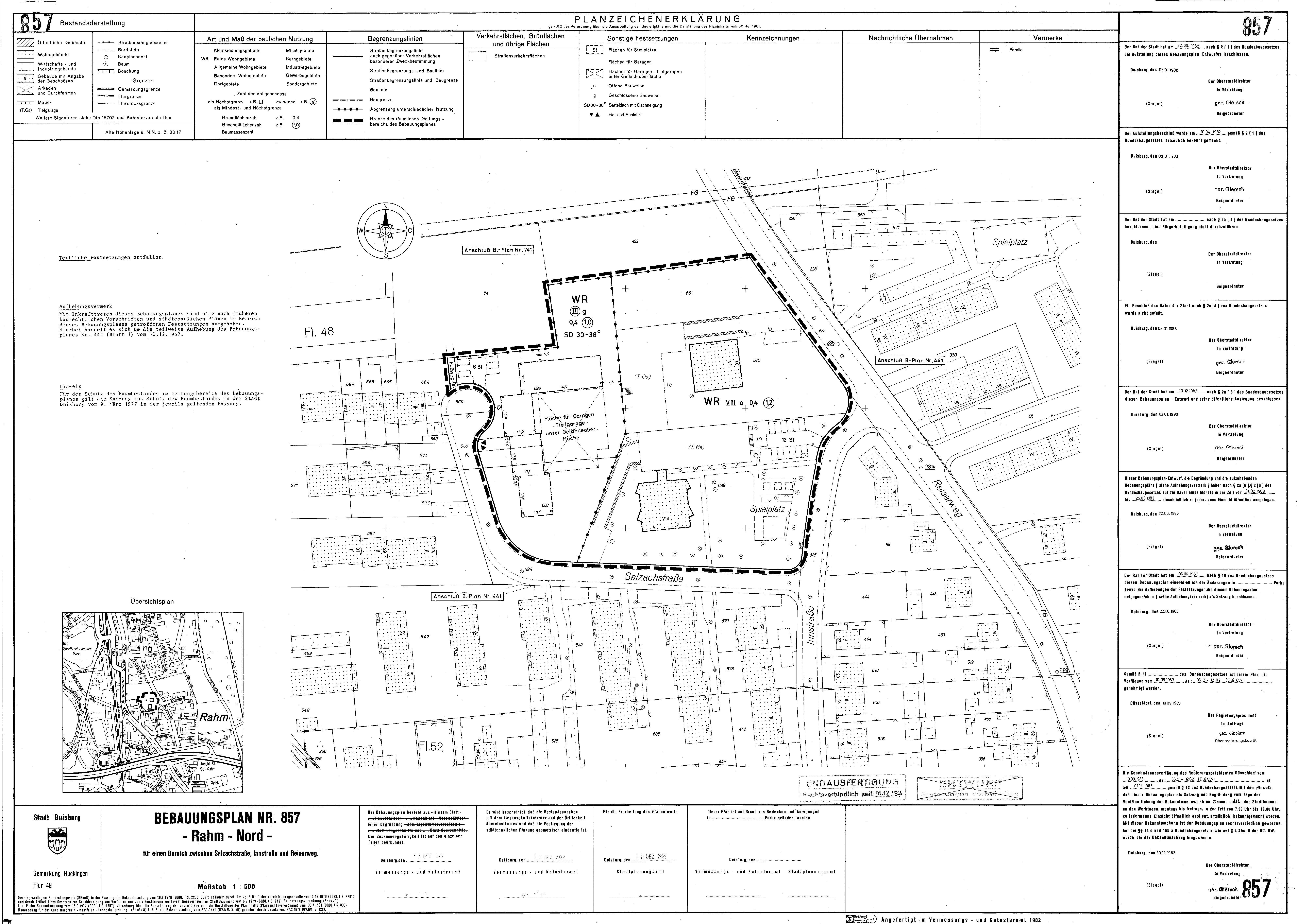
Bebauungsplan
857 - Rahm
im Stadtplan anzeigen
Plan Auskunft
Downloads
Verfahrensschritt:
rechtskräftiges Verfahren
Verfahrensübersicht:
857 - Rahm - Nord
Datum
Verfahrensschritt
22.03.1982
Aufstellungsbeschluss
21.02.1983 - 25.03.1983
öffentliche Auslegung
06.06.1983
Satzungsbeschluß
01.12.1983
Bekanntmachung im Amtsblatt gemäß
§ 10 Abs. 3 BauGB
Downloads
(
alle Dateien herunterladen
)
B-Plan Scan
3,1 MB