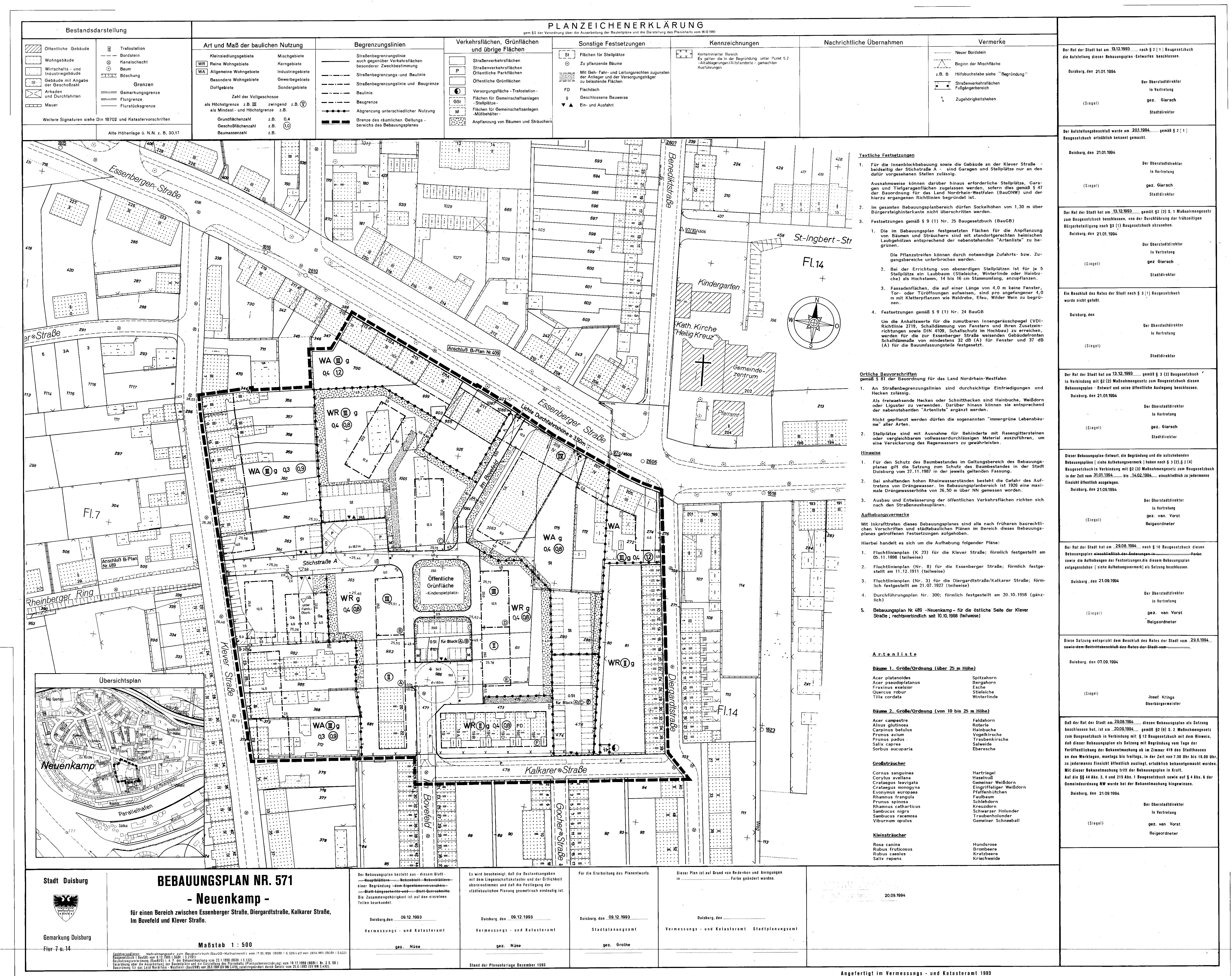
Bebauungsplan
571 - Neuenkamp
im Stadtplan anzeigen
Plan Auskunft
Downloads
Verfahrensschritt:
rechtskräftiges Verfahren
Verfahrensübersicht:
571 - Neuenkamp
Datum
Verfahrensschritt
13.12.1993
Aufstellungsbeschluss
31.01.1994 - 14.02.1994
öffentliche Auslegung
20.09.1994
Bekanntmachung im Amtsblatt gemäß
§ 10 Abs. 3 BauGB
Downloads
(
alle Dateien herunterladen
)
Begründung
0,5 MB
B-Plan Scan
4,8 MB