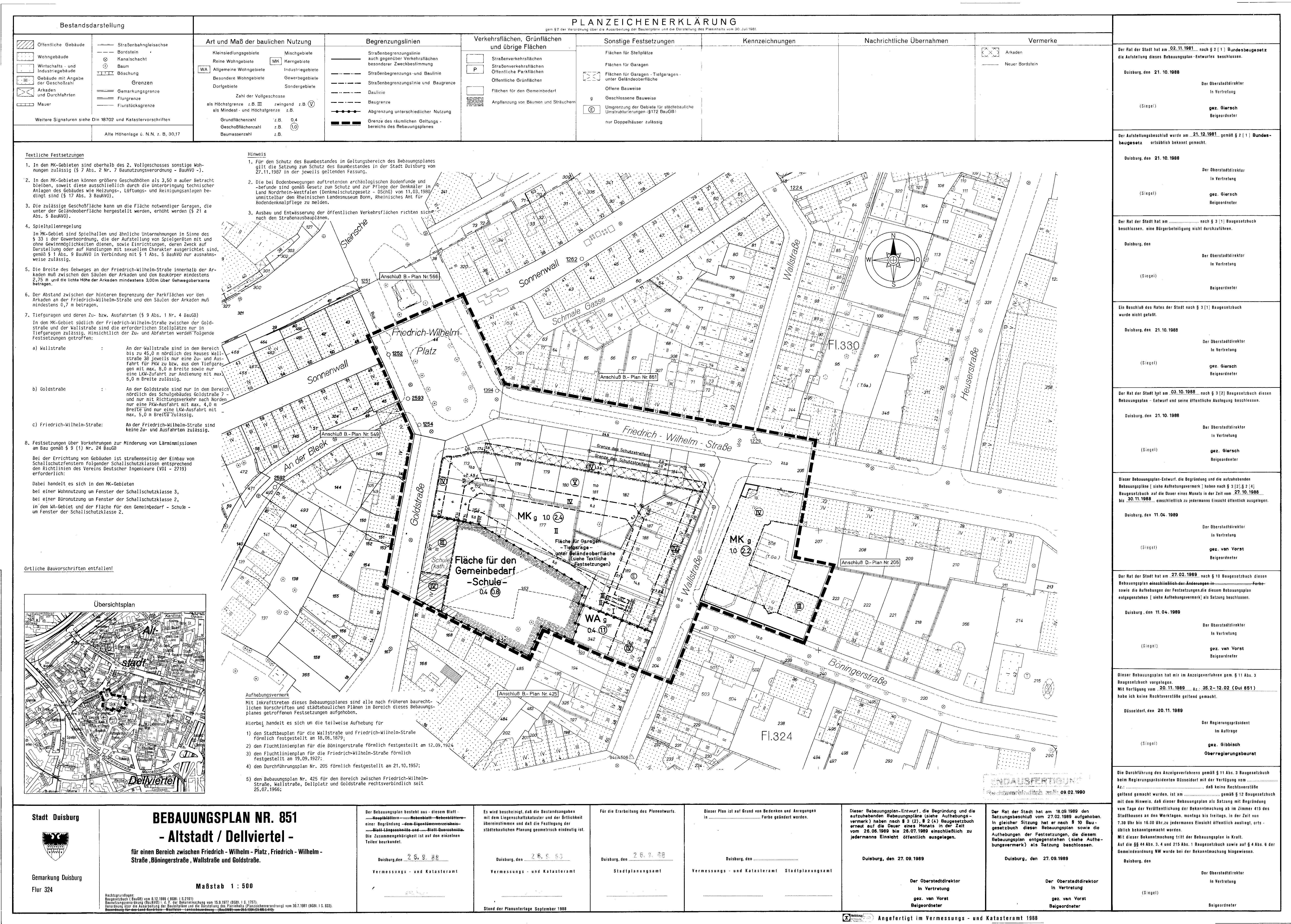
Bebauungsplan
851 - Altstadt
im Stadtplan anzeigen
Plan Auskunft
Downloads
Verfahrensschritt:
rechtskräftiges Verfahren
Verfahrensübersicht:
1
2
851
Datum
Verfahrensschritt
27.10.1988 - 30.11.1988
öffentliche Auslegung
Bemerkung:
neue Öffentliche Auslegung
851
Datum
Verfahrensschritt
26.06.1989 - 26.07.1989
öffentliche Auslegung
09.02.1990
Bekanntmachung im Amtsblatt gemäß
§ 10 Abs. 3 BauGB
Downloads
(
alle Dateien herunterladen
)
Bebauungsplan
4,7 MB
Begründung
0,5 MB